Typhoon Matmo
Status: Closed
| Type of posting | Posting date(EST): | Summary | Downloads |
|---|---|---|---|
| Landfall | 7/23/2014 12:00:00 PM |
|
|
| Pre-Landfall 1 | 7/22/2014 11:00:00 AM |
|
Pre-Landfall 1 | Summary
Posting Date: July 22, 2014, 11:00:00 AM
Typhoon Matmo (called Henry in the Philippines) formed in the Philippine Sea and became a tropical storm on July 17. It is the third typhoon to form in the northwest Pacific basin and the first that will strike Taiwan this year. Landfall is expected late tonight, local time, on Taiwan’s central coast, and a second landfall is anticipated tomorrow evening local time in southeast China.
Impact in the Philippines
Matmo passed northeast of Luzon, the northernmost main island in the Philippines, on Tuesday morning, just a week after the country was battered by Typhoon Rammasun. While Matmo did not make landfall in the Philippines, authorities warned of torrential rainfall, raised storm alerts, and suspended sea travel and fishing operations. In northern Luzon, schools were closed and at least 11 ferries and 10 flights were canceled. Heavy rainfall is expected to continue to affect the Philippines even as the storm moves away. Western portions of Visayas, Mimaropa, and Luzon (including the metro Manila area) remain at risk of flooding.
Current Meteorological Situation
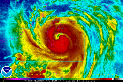
According to the Japan Meteorological Agency (JMA), as of 12:00 UTC on July 22, Matmo is located at 22.4°N 122.0°E. It has a central pressure of 965 mb and maximum 10-minute sustained wind speeds of 130 km/h. Matmo is moving to the northwest at approximately 25 km/h, and this motion is expected to continue.
Matmo has shown increasing organization over the past 6 hours, with a weakly defined cloud-filled eye beginning to develop (see satellite image). However, land interaction will inhibit further development and will cause the storm to weaken in the next several hours. Lanyu Island has been lashed by the western eyewall of Matmo for several hours, and as of 21:30 China Standard Time is reporting a rainfall total of 291 mm, a minimum pressure of 977 mb, maximum 10-minute sustained winds of 120 km/h, and maximum wind gusts of 212 km/h.
Infrared satellite image of Matmo, valid July 22 13:01 UTC (Source: NOAA)
Forecast and Preparations in Taiwan and China
Typhoon Matmo is bearing down on the central coast of eastern Taiwan. The center of the storm is expected to cross the coast by 15:00 UTC (23:00, local time). Sustained winds of 110 km/h to 125 km/h, with gusts up to 180 km/h, will buffet the island throughout the evening and into Wednesday as the storm traverses the island. The mountainous terrain of Taiwan is expected to enhance rainfall, raising the threat of dangerous floods and mudslides. Storm surge is also expected in the landfall region on the east coast of Taiwan.
The Central Weather Bureau of Taiwan has placed the entire island under typhoon warning, in addition to the small islands of Ludao and Lanyu to the southeast of the main island. Schools, businesses, and financial markets will be closed on Wednesday in many cities, including the capital of Taipei. At least 50 flights have been canceled. Officials stated that 8,000 military personnel are on call in preparation for rescue efforts.
In China, authorities are preparing for the second typhoon landfall in less than a week after Typhoon Rammasun affected Hainan, Guangdong, Guanxi, and Yunnan late last week. Matmo is expected to make landfall near Fujian and Zhejiang on Wednesday evening, local time.

Track map for Typhoon Matmo (Source: JMA)
Exposure at Risk in Taiwan
At the expected wind speeds from Typhoon Matmo, Taiwan’s building stock is expected to fare well, with limited instances of significant structural damage. Minor roof and wall cladding damage is possible, and flooding may cause significant damage to low-rise structures.
Low- to mid-rise buildings typically have reinforced concrete frames with brick infill walls. Some masonry residential buildings can also be found, although these are usually built prior to 1950. In recent years, these residences have given way to mid-rise apartment buildings and three-story street houses, with both types generally of masonry construction. Most of the buildings in Taiwan are fairly new, however, and recent residences tend to be high-rise complexes built in clusters. These are predominantly reinforced concrete, many with ceramic façades, although some are steel.
Taiwan’s residential buildings usually have commercial establishments on the first floor, while the upper stories are used for residential purposes. The mixed occupancy use in Taiwan makes the vulnerability of residential and commercial lines of business very similar.
The commercial and industrial buildings in Taiwan usually date to 1970 or later because before that time the country relied more heavily on agriculture. These buildings are therefore generally built to better structural standards. About half of Taiwan’s commercial and industrial stock is made of steel while the rest is mostly reinforced concrete.
The AIR tropical cyclone team will continue to closely monitor the progress of Typhoon Matmo and will provide updates as warranted.